Ga naar inhoud

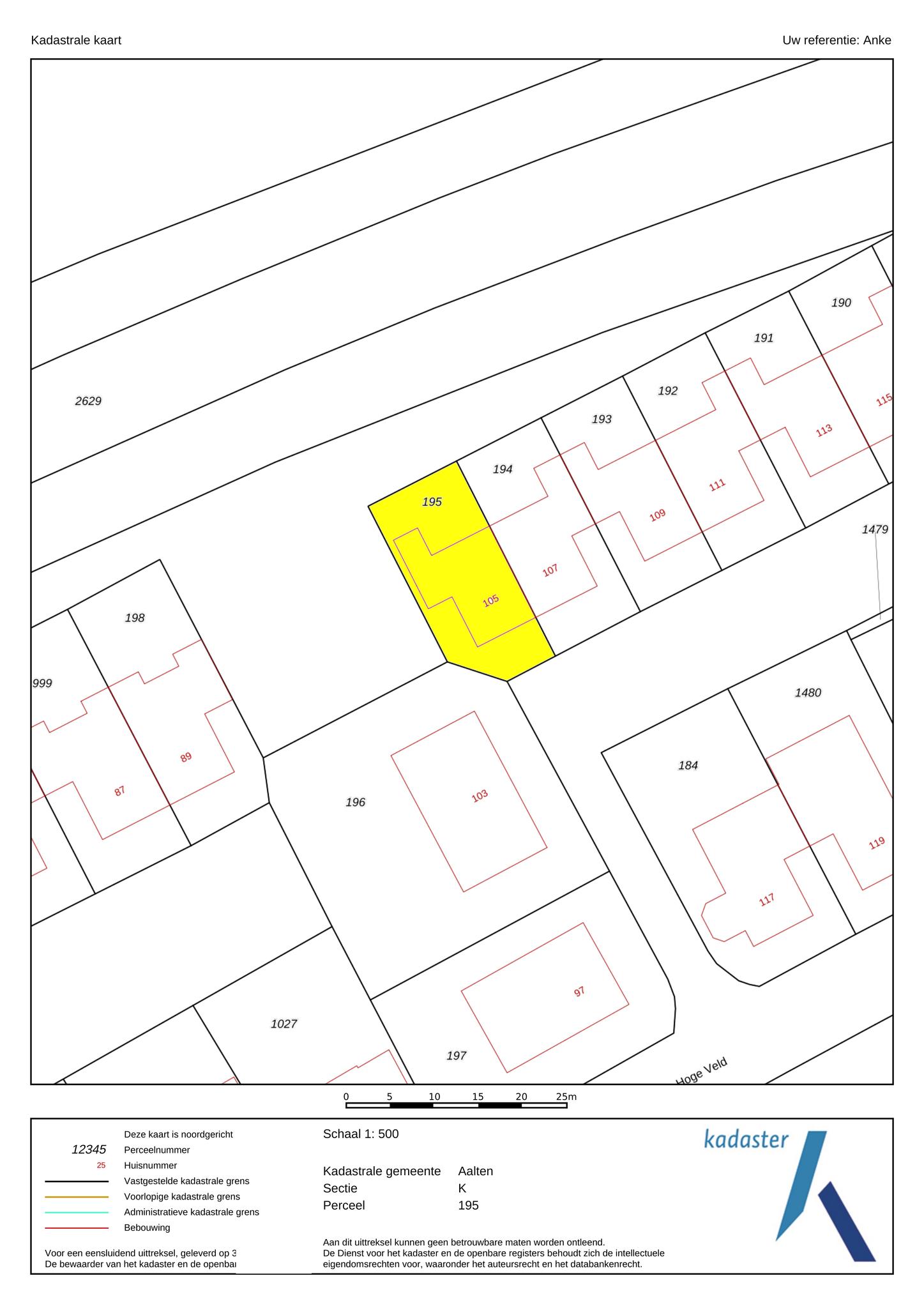
Te koop: woonhuis Hoge Veld 105 7122 ZP Aalten

Eggink Maalderink Garantiemakelaars
Neem contact met mij op

Verkocht

€ 335.000,- k.k.

bied op deze woning

Op hemelsbreed 50 meter van de Watertoren, aan een groenstrook, staat deze gelijkvloerse bungalow met een garage en twee slaapkamers. Het Hoge Veld bestaat uit een rustige straat en enkele zijstraatjes waar alleen bestemmingsverkeer komt. Deze halfvrijstaande bungalow staat in één van de zijstraatjes, met groen aan twee zijden van het perceel. De bungalow heeft veel lichtinval, een courante indeling en in de tuin is een berging/hobbyruimte gebouwd.
Als je op zoek bent naar een plek om gelijkvloers te wonen, dan is dit een uitstekende keuze. Via de Berkenhovestraat loop je naar het centrum met diverse winkels en restaurants. Aan de overzijde van de N318 loop of fiets je het buitengebied in, richting landgoed Eppink en de buurtschappen Barlo, Dale en ’t Villeken.

Indeling:
Bij de oprit is de overdekte entree van deze gelijkvloerse bungalow, die wordt gekenmerkt door de vele lichtinval. In de hal, aan de rechterzijde, zijn de toiletruimte met fonteintje en de vernieuwde badkamer. Deze ruimte is ingedeeld met een inloopdouche, wastafelmeubel, handdoekenradiator en een spiegelkast.
De woon-/eetkamer bevindt zich aan de voorzijde, waar de zon gedurende een groot deel van de dag naar binnen valt. Bij het zitgedeelte is een deur naar het terras en de inbouwkast bij het eetgedeelte biedt praktische bergruimte.
Een schuifdeur biedt toegang tot de eerste slaapkamer, die ook als deel van de leefruimte gebruikt kan worden. Zo is deze ruimte geschikt als eetkamer, aparte zitkamer of werk-/studeerkamer.
Aan de achterzijde is de dichte keuken, met fraai uitzicht naar de achtertuin en het achterliggende groen. De nette hoekopstelling is voorzien van een dubbele spoelbak, gaskookplaat, afzuigkap, koelkast en een vriezer. Aan de kant van de woonkamer is, heel handig, een tweedeurs inbouwkast voor servies of andere spullen.
Naast de keuken is de tweede slaapkamer, met uitzicht naar de achtertuin. De grote kastenwand met spiegeldeur blijft achter en ook hier is het originele houten kozijn vervangen door een kunststof kozijn met draai-/kiepraam.
De aangebouwde garage heeft een lengte van meer dan 7 meter en is voorzien van elektra, verwarming, water en een kantelpoort met loopdeur. Voor de auto is dit een prima plek, want in de tuin staat een grote berging die ook als hobbyruimte gebruikt kan worden.

Exterieur:
Deze bungalow heeft een tuin aan de voor- en achterzijde, met ruimte om in de zon en schaduw te zitten. De voortuin met gevarieerde beplanting en een terras, met zonwering, is gesitueerd op het zuidoosten. De achtertuin is geheel bestraat en biedt, dankzij de lage bebouwing, zowel schaduw als zon.

Bijzonderheden:
– Gelijkvloerse bungalow aan de rand van Aalten;
– Houten en kunststof kozijnen, deels met isolerende beglazing;
– Verwarming en warm water via een HR-ketel (Nefit Topline);
– Ruime garage en een berging/hobbyruimte;
– Twee slaapkamers;
– Loop-/fietsafstand van het centrum en het buitengebied;
– Energielabel C.

  • 78 m2
  • 269 m2
  • 2

Kenmerken Hoge Veld 105

Overdracht

Vraagprijs€ 335.000,- k.k.
AanvaardingIn overleg

Oppervlaktes en inhoud

Perceel oppervlakte269 m2
Woonoppervlakte78 m2
Inhoud349 m3

Bouw

SoortBungalow
BouwvormBestaande bouw
Bouwjaar1974
Dak typePlat dak
IsolatievormenDakisolatie, Gedeeltelijk dubbelglas, HR glas
EnergielabelC

Indeling

Aantal verdiepingen1
Aantal kamers3
Aantal slaapkamers2
Aantal badkamers1

Maandlasten

Ligging Hoge Veld 105

Voorzieningen

Centraal gelegen informatie over de buurt

Aantal inwoners

In de gemeente

27.047

Vergelijkbaar woningaanbod